Land Use Committee and Housing Committee Recommend Seeking Ruane-Alyeska Highway Land for Housing Project
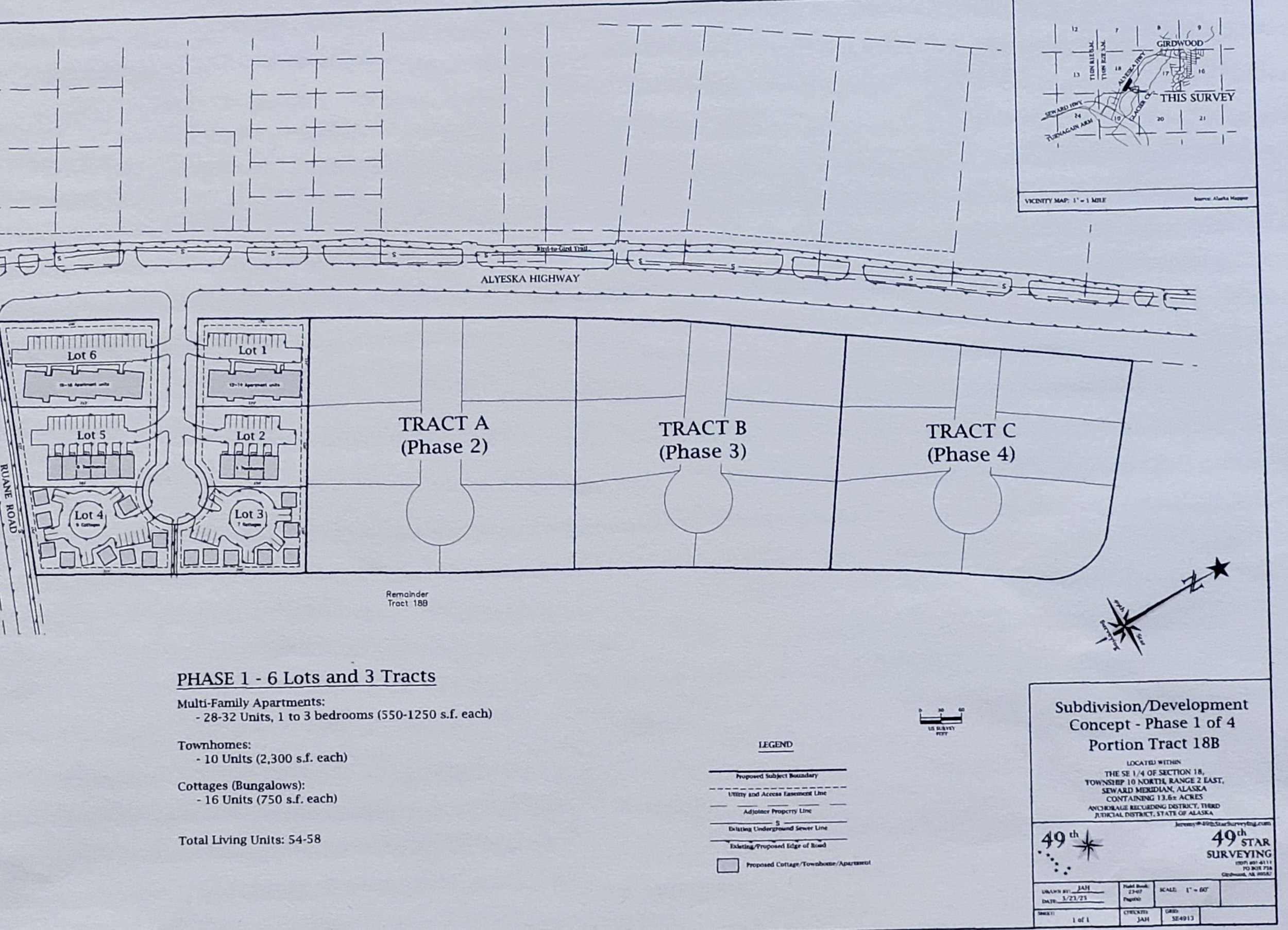
The concept presented to the LUC and GHEC identifies an initial phase consisting of 28-32 apartments, 10 townhouses and 16 “tiny” (750 sq. ft) bungalows. Half of these units would be developed as “market rate” housing by a private developer.
By Brooks Chandler
TNews Board of Directors
Girdwood’s Land Use Committee and Housing and Economic Committee have approved asking the Heritage Land Bank to survey and subdivide HLB property at the intersection of Ruane and Alyeska Highway. Subdivision would be an initial step in potential development of half of the property for work force housing.
The concept originated with the Girdwood Community Land Trust. A public-private partnership for development between HLB and a Girdwood non-profit (not necessarily GCLT) is envisioned.
The concept presented to the LUC and GHEC identifies an initial phase consisting of 28-32 apartments, 10 townhouses and 16 “tiny” (750 sq. ft) bungalows. Half of these units would be developed as “market rate” housing by a private developer.
Half of the units would be managed by the Girdwood non-profit for workforce housing. Profits from selling market rate units would be shared equally between the Girdwood non-profit, the Girdwood Valley Service Area, the Anchorage General Fund and HLB.
According to GCLT Board member Krystal Hoke, GCLT sought LUC and GHEC approval as a show of community support for the concept. The Land Use Committee approved recommending the Girdwood Board of Supervisors ask HLB to subdivide the parcel by a vote of 8-0 with 4 abstentions on July 14. GHEC also unanimously approved the concept at its Aug. 4 meeting.
A draft resolution of support will be considered bythe Girdwood Board of Supervisors at its Aug. 18 meeting.
